조황관리HOME / 조황관리 / 상세정보

제목 : [풍화 곤리] 궁항레저 12월04일 조황입니다
등록일 : 2025-12-05
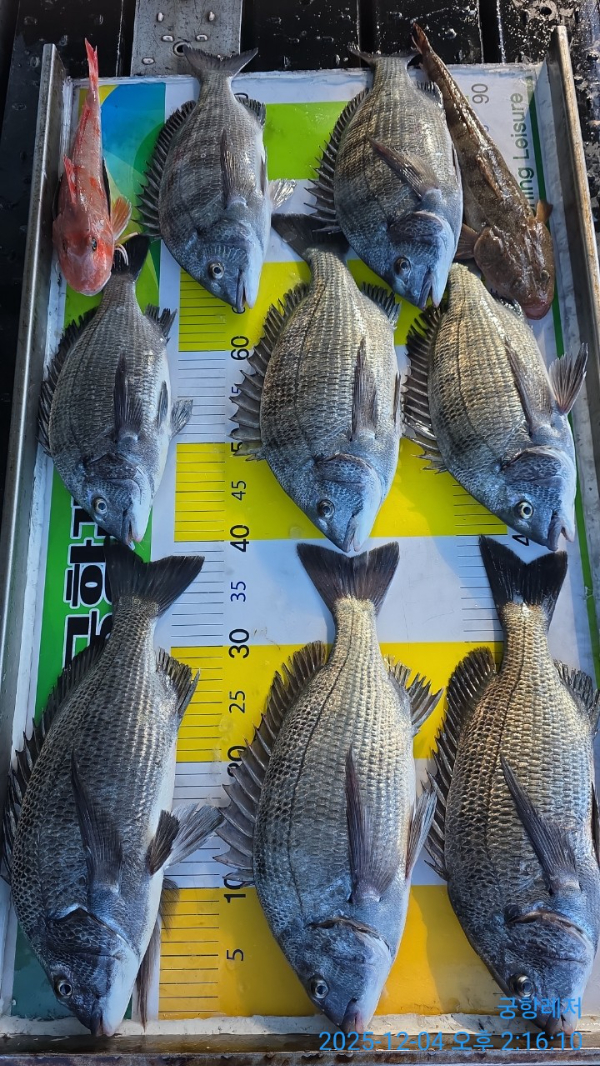
12월 4일조황입니다
BandPhoto_2025_12_05_23_21_17_1.jpg


BandPhoto_2025_12_05_23_21_17_2.jpg


BandPhoto_2025_12_05_23_21_17_3.jpg


BandPhoto_2025_12_05_23_21_17_4.jpg


BandPhoto_2025_12_05_23_21_17_5.jpg


BandPhoto_2025_12_05_23_21_17_6.jpg


BandPhoto_2025_12_05_23_21_17_7.jpg




*** 통영 궁항레저 예약 안내 ***


예약문의 : 010-4879-8825

오시는길 : 경상남도 통영시 산양읍 궁항길 74

모바일.jpg

Top